| Κωδ. Διαγρ. | Περιφερειακή Ενότητα | Δήμος κατά ΦΕΚ / Κοινότητα | Θέση | Αριθμός και Έτος ΦΕΚ | Αριθμός Πράξης | Τύπος Διαγράμματος | Πινακίδα | Ενέργειες | ||
|---|---|---|---|---|---|---|---|---|---|---|
| 32661 | Π.Ε. ΕΥΒΟΙΑΣ | ΧΑΛΚΙΔΑ | ΚΑΚΗ ΚΕΦΑΛΗ | 139 / 1947 | 11350 | ΠΡΩΤΟΤΥΠΟ | 01 | Προβολή | ||
| 32660 | Π.Ε. ΕΥΒΟΙΑΣ | ΧΑΛΚΙΔΑ | - | 59 / 1960 | 5594 | ΔΗΜΟΣΙΕΥΜΕΝΟ ΣΕ ΦΕΚ | 01 | Προβολή | ||
| 32659 | Π.Ε. ΕΥΒΟΙΑΣ | ΧΑΛΚΙΔΑ | - | 132 / 1961 | 27292 | ΔΗΜΟΣΙΕΥΜΕΝΟ ΣΕ ΦΕΚ | 01 | Προβολή | ||
| 32658 | Π.Ε. ΕΥΒΟΙΑΣ | ΧΑΛΚΙΔΑ | - | 152 / 1961 | 33114 | ΔΗΜΟΣΙΕΥΜΕΝΟ ΣΕ ΦΕΚ | 10 | Προβολή | ||
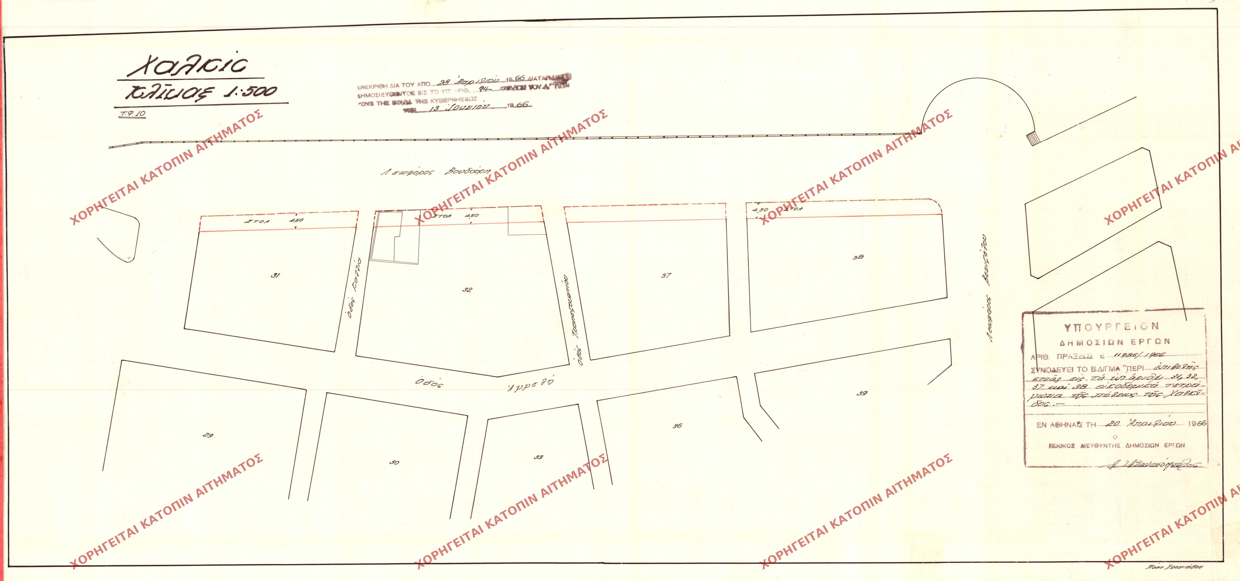
| 32657 | Π.Ε. ΕΥΒΟΙΑΣ | ΧΑΛΚΙΔΑ | - | 135 / 1961 | 16863 | ΔΗΜΟΣΙΕΥΜΕΝΟ ΣΕ ΦΕΚ | 01 | Προβολή | ||
| 32656 | Π.Ε. ΕΥΒΟΙΑΣ | ΧΑΛΚΙΔΑ | - | 17 / 1962 | 35887 | ΔΗΜΟΣΙΕΥΜΕΝΟ ΣΕ ΦΕΚ | 15 | Προβολή | ||
| 32655 | Π.Ε. ΕΥΒΟΙΑΣ | ΧΑΛΚΙΔΑ | - | 154 / 1990 | 58265 | ΠΡΩΤΟΤΥΠΟ | 08.05 | Προβολή | ||
| 32654 | Π.Ε. ΕΥΒΟΙΑΣ | ΧΑΛΚΙΔΑ | - | 384 / 1979 | 15809 | ΔΗΜΟΣΙΕΥΜΕΝΟ ΣΕ ΦΕΚ | 01 | Προβολή | ||
| 32653 | Π.Ε. ΕΥΒΟΙΑΣ | ΧΑΛΚΙΔΑ | - | 17 / 1962 | 35887 | ΔΗΜΟΣΙΕΥΜΕΝΟ ΣΕ ΦΕΚ | 01 | Προβολή | ||
| 32652 | Π.Ε. ΕΥΒΟΙΑΣ | ΧΑΛΚΙΔΑ | - | 17 / 1962 | 24322 | ΔΗΜΟΣΙΕΥΜΕΝΟ ΣΕ ΦΕΚ | 19 | Προβολή | ||
| 32651 | Π.Ε. ΕΥΒΟΙΑΣ | ΧΑΛΚΙΔΑ | - | 17 / 1962 | 35887 | ΔΗΜΟΣΙΕΥΜΕΝΟ ΣΕ ΦΕΚ | 06 | Προβολή | ||
| 32650 | Π.Ε. ΕΥΒΟΙΑΣ | ΧΑΛΚΙΔΑ | - | 17 / 1962 | 35887 | ΔΗΜΟΣΙΕΥΜΕΝΟ ΣΕ ΦΕΚ | 19 | Προβολή | ||
| 32649 | Π.Ε. ΕΥΒΟΙΑΣ | ΧΑΛΚΙΔΑ | - | 17 / 1962 | 35887 | ΔΗΜΟΣΙΕΥΜΕΝΟ ΣΕ ΦΕΚ | 09 | Προβολή | ||
| 32417 | Π.Ε. ΕΥΒΟΙΑΣ | ΧΑΛΚΙΔΑ | - | 581 / 1998 | 17853 | ΔΗΜΟΣΙΕΥΜΕΝΟ ΣΕ ΦΕΚ | 01 | Προβολή | ||
| 32686 | Π.Ε. ΕΥΒΟΙΑΣ | ΧΑΛΚΙΔΑ | - | 1177 / 1993 | 79259 | ΠΡΩΤΟΤΥΠΟ | 07.01 | Προβολή | ||
| 32510 | Π.Ε. ΕΥΒΟΙΑΣ | ΧΑΛΚΙΔΑ | - | 154 / 1990 | 58265 | ΠΡΩΤΟΤΥΠΟ | 02.06 | Προβολή | ||
| 32687 | Π.Ε. ΕΥΒΟΙΑΣ | ΧΑΛΚΙΔΑ | - | 1177 / 1993 | 79259 | ΠΡΩΤΟΤΥΠΟ | 08.01 | Προβολή | ||
| 32688 | Π.Ε. ΕΥΒΟΙΑΣ | ΧΑΛΚΙΔΑ | - | 154 / 1990 | 58265 | ΠΡΩΤΟΤΥΠΟ | 05.06 | Προβολή | ||
| 32499 | Π.Ε. ΕΥΒΟΙΑΣ | ΧΑΛΚΙΔΑ | ΒΑΡΘΟΒΟΥΝΙ | 1073 / 1993 | 77361 | ΠΡΩΤΟΤΥΠΟ | 01 | Προβολή | ||
| 32488 | Π.Ε. ΕΥΒΟΙΑΣ | ΧΑΛΚΙΔΑ | - | 1074 / 1993 | 52143 | ΠΡΩΤΟΤΥΠΟ | 03.12 | Προβολή |