| Κωδ. Διαγρ. | Περιφερειακή Ενότητα | Δήμος κατά ΦΕΚ / Κοινότητα | Θέση | Αριθμός και Έτος ΦΕΚ | Αριθμός Πράξης | Τύπος Διαγράμματος | Πινακίδα | Ενέργειες | ||
|---|---|---|---|---|---|---|---|---|---|---|
| 28809 | Π.Ε. ΡΕΘΥΜΝΟΥ | ΡΕΘΥΜΝΟ | - | 372 / 1985 | 50183 | ΔΗΜΟΣΙΕΥΜΕΝΟ ΣΕ ΦΕΚ | Π | Προβολή | ||
| 28820 | Π.Ε. ΡΕΘΥΜΝΟΥ | ΡΕΘΥΜΝΟ | - | 658 / 1987 | 33716 | ΔΗΜΟΣΙΕΥΜΕΝΟ ΣΕ ΦΕΚ | 01 | Προβολή | ||
| 28822 | Π.Ε. ΡΕΘΥΜΝΟΥ | ΡΕΘΥΜΝΟ | - | 658 / 1987 | 33716 | ΔΗΜΟΣΙΕΥΜΕΝΟ ΣΕ ΦΕΚ | 01 | Προβολή | ||
| 29276 | Π.Ε. ΡΕΘΥΜΝΟΥ | ΡΕΘΥΜΝΟ | - | 324 / 1955 | 34221 | ΔΗΜΟΣΙΕΥΜΕΝΟ ΣΕ ΦΕΚ | 01 | Προβολή | ||
| 28833 | Π.Ε. ΡΕΘΥΜΝΟΥ | ΡΕΘΥΜΝΟ | - | 376 / 1988 | 22905 | ΔΗΜΟΣΙΕΥΜΕΝΟ ΣΕ ΦΕΚ | 01 | Προβολή | ||
| 28823 | Π.Ε. ΡΕΘΥΜΝΟΥ | ΡΕΘΥΜΝΟ | - | 658 / 1987 | 33716 | ΔΗΜΟΣΙΕΥΜΕΝΟ ΣΕ ΦΕΚ | 01 | Προβολή | ||
| 28824 | Π.Ε. ΡΕΘΥΜΝΟΥ | ΡΕΘΥΜΝΟ | - | 658 / 1987 | 33716 | ΔΗΜΟΣΙΕΥΜΕΝΟ ΣΕ ΦΕΚ | 01 | Προβολή | ||
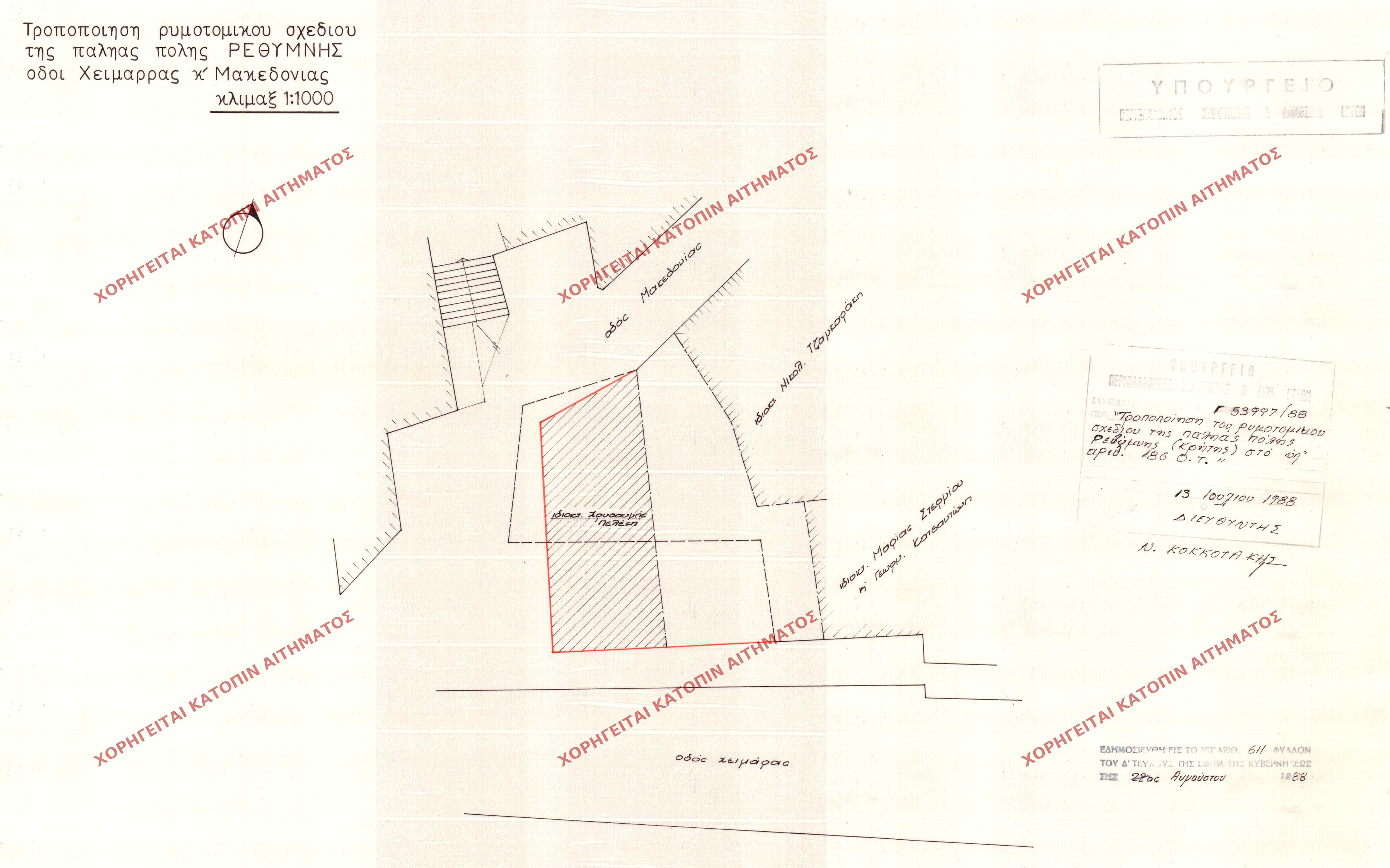
| 28831 | Π.Ε. ΡΕΘΥΜΝΟΥ | ΡΕΘΥΜΝΟ | - | 611 / 1988 | 53997 | ΔΗΜΟΣΙΕΥΜΕΝΟ ΣΕ ΦΕΚ | 01 | Προβολή | ||
| 28787 | Π.Ε. ΡΕΘΥΜΝΟΥ | ΡΕΘΥΜΝΟ | - | 68 / 1987 | 71649 | ΔΗΜΟΣΙΕΥΜΕΝΟ ΣΕ ΦΕΚ | 03 | Προβολή | ||
| 28784 | Π.Ε. ΡΕΘΥΜΝΟΥ | ΡΕΘΥΜΝΟ | ΠΑΡΑΔΕΙΣΟΣ | 27 / 2006 | 28922 | ΠΡΩΤΟΤΥΠΟ | 02 | Προβολή | ||
| 28783 | Π.Ε. ΡΕΘΥΜΝΟΥ | ΡΕΘΥΜΝΟ | - | 680 / 2006 | 21577 | ΔΗΜΟΣΙΕΥΜΕΝΟ ΣΕ ΦΕΚ | 01 | Προβολή | ||
| 28830 | Π.Ε. ΡΕΘΥΜΝΟΥ | ΡΕΘΥΜΝΟ | - | 765 / 1988 | 74403 | ΔΗΜΟΣΙΕΥΜΕΝΟ ΣΕ ΦΕΚ | 01 | Προβολή | ||
| 28829 | Π.Ε. ΡΕΘΥΜΝΟΥ | ΡΕΘΥΜΝΟ | - | 437 / 1989 | 32781 | ΔΗΜΟΣΙΕΥΜΕΝΟ ΣΕ ΦΕΚ | 01 | Προβολή | ||
| 28828 | Π.Ε. ΡΕΘΥΜΝΟΥ | ΡΕΘΥΜΝΟ | ΠΑΡΝΑΜΟΣ | 1135 / 1996 | 77994 | ΠΡΩΤΟΤΥΠΟ | 01 | Προβολή | ||
| 28825 | Π.Ε. ΡΕΘΥΜΝΟΥ | ΡΕΘΥΜΝΟ | - | 520 / 1987 | 23135 | ΔΗΜΟΣΙΕΥΜΕΝΟ ΣΕ ΦΕΚ | 01 | Προβολή | ||
| 28841 | Π.Ε. ΡΕΘΥΜΝΟΥ | ΡΕΘΥΜΝΟ | - | 142 / 1972 | 32817 | ΔΗΜΟΣΙΕΥΜΕΝΟ ΣΕ ΦΕΚ | 01 | Προβολή | ||
| 28800 | Π.Ε. ΡΕΘΥΜΝΟΥ | ΡΕΘΥΜΝΟ | - | 30 / 1985 | 63518 | ΠΡΩΤΟΤΥΠΟ | 12 | Προβολή | ||
| 28789 | Π.Ε. ΡΕΘΥΜΝΟΥ | ΡΕΘΥΜΝΟ | - | 68 / 1987 | 71649 | ΔΗΜΟΣΙΕΥΜΕΝΟ ΣΕ ΦΕΚ | 04 | Προβολή | ||
| 29265 | Π.Ε. ΡΕΘΥΜΝΟΥ | ΡΕΘΥΜΝΟ | - | 11 / 1956 | 48028 | ΔΗΜΟΣΙΕΥΜΕΝΟ ΣΕ ΦΕΚ | 01 | Προβολή | ||
| 28797 | Π.Ε. ΡΕΘΥΜΝΟΥ | ΡΕΘΥΜΝΟ | - | 30 / 1985 | 63518 | ΔΗΜΟΣΙΕΥΜΕΝΟ ΣΕ ΦΕΚ | 11 | Προβολή |