| Κωδ. Διαγρ. | Περιφερειακή Ενότητα | Δήμος κατά ΦΕΚ / Κοινότητα | Θέση | Αριθμός και Έτος ΦΕΚ | Αριθμός Πράξης | Τύπος Διαγράμματος | Πινακίδα | Ενέργειες | ||
|---|---|---|---|---|---|---|---|---|---|---|
| 93200 | Π.Ε. ΘΕΣΣΑΛΟΝΙΚΗΣ | ΠΟΛΙΧΝΗ | - | 730 / 1995 | 34309 | ΠΡΩΤΟΤΥΠΟ | Α-2 | Προβολή | ||
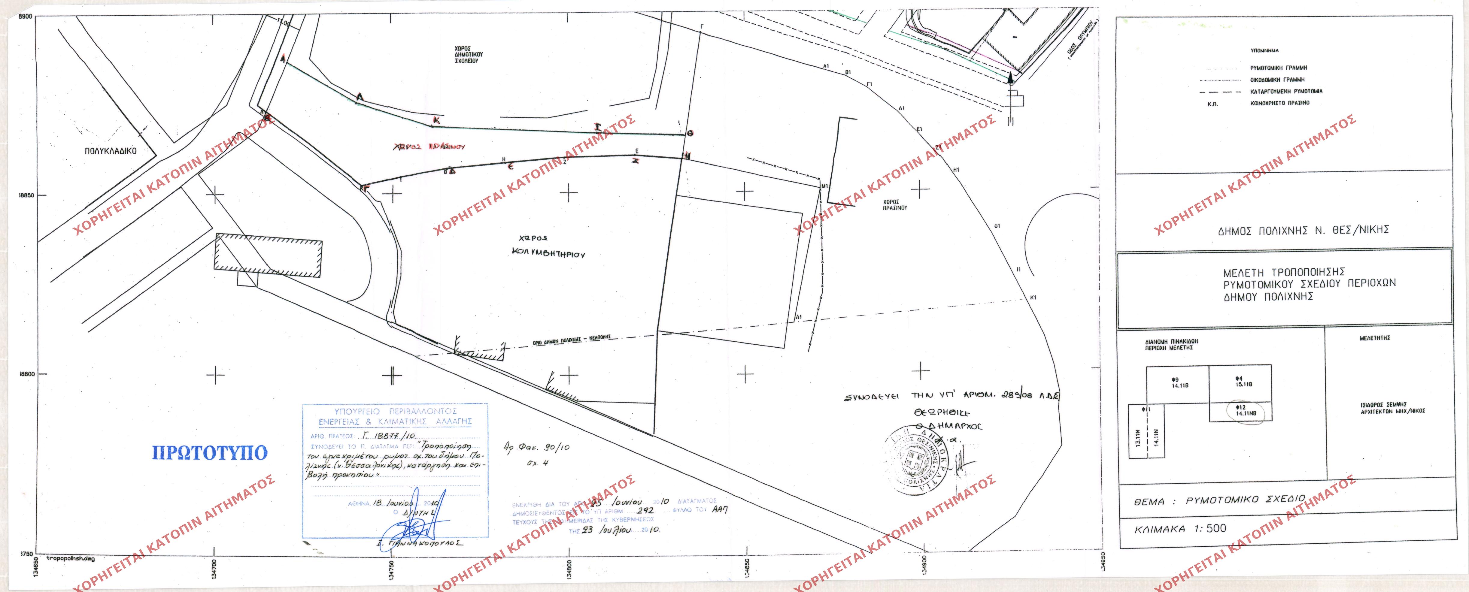
| 93691 | Π.Ε. ΘΕΣΣΑΛΟΝΙΚΗΣ | ΠΟΛΙΧΝΗ | - | 292 / 2010 | 18877 | ΠΡΩΤΟΤΥΠΟ | Φ9 | Προβολή | ||
| 87058 | Π.Ε. ΘΕΣΣΑΛΟΝΙΚΗΣ | ΠΟΛΙΧΝΗ | - | 58 / 2000 | 35082 | ΠΡΩΤΟΤΥΠΟ | Π-2.7.2 | Προβολή | ||
| 93692 | Π.Ε. ΘΕΣΣΑΛΟΝΙΚΗΣ | ΠΟΛΙΧΝΗ | - | 292 / 2010 | 18877 | ΠΡΩΤΟΤΥΠΟ | Φ 9 | Προβολή | ||
| 87059 | Π.Ε. ΘΕΣΣΑΛΟΝΙΚΗΣ | ΠΟΛΙΧΝΗ | - | 58 / 2000 | 35082 | ΠΡΩΤΟΤΥΠΟ | Π-2.3.2-2.4.2 | Προβολή | ||
| 87060 | Π.Ε. ΘΕΣΣΑΛΟΝΙΚΗΣ | ΠΟΛΙΧΝΗ | - | 58 / 2000 | 35082 | ΠΡΩΤΟΤΥΠΟ | Π-3.1.2 | Προβολή | ||
| 93706 | Π.Ε. ΘΕΣΣΑΛΟΝΙΚΗΣ | ΠΟΛΙΧΝΗ | - | 292 / 2010 | 18877 | ΠΡΩΤΟΤΥΠΟ | Φ12 14.11ΝΒ | Προβολή | ||
| 87061 | Π.Ε. ΘΕΣΣΑΛΟΝΙΚΗΣ | ΠΟΛΙΧΝΗ | - | 58 / 2000 | 35082 | ΠΡΩΤΟΤΥΠΟ | Π-3.2 | Προβολή | ||
| 87062 | Π.Ε. ΘΕΣΣΑΛΟΝΙΚΗΣ | ΠΟΛΙΧΝΗ | - | 58 / 2000 | 35082 | ΠΡΩΤΟΤΥΠΟ | Π-1.5-1.7-1.8 | Προβολή | ||
| 87063 | Π.Ε. ΘΕΣΣΑΛΟΝΙΚΗΣ | ΠΟΛΙΧΝΗ | - | 58 / 2000 | 35082 | ΠΡΩΤΟΤΥΠΟ | Π-1.3.2 | Προβολή | ||
| 87065 | Π.Ε. ΘΕΣΣΑΛΟΝΙΚΗΣ | ΠΟΛΙΧΝΗ | - | 58 / 2000 | 35082 | ΠΡΩΤΟΤΥΠΟ | Π-2.1.2 | Προβολή | ||
| 85238 | Π.Ε. ΘΕΣΣΑΛΟΝΙΚΗΣ | ΠΟΛΙΧΝΗ | - | 1018 / 1987 | 49788 | ΠΡΩΤΟΤΥΠΟ | Π-2.1.2 | Προβολή | ||
| 89892 | Π.Ε. ΘΕΣΣΑΛΟΝΙΚΗΣ | ΠΟΛΙΧΝΗ | - | 857 / 1993 | 76327 | ΠΡΩΤΟΤΥΠΟ | Α-1 | Προβολή | ||
| 92386 | Π.Ε. ΘΕΣΣΑΛΟΝΙΚΗΣ | ΠΟΛΙΧΝΗ | - | 527 / 1996 | 14723 | ΠΡΩΤΟΤΥΠΟ | Α-1 | Προβολή | ||
| 85266 | Π.Ε. ΘΕΣΣΑΛΟΝΙΚΗΣ | ΠΟΛΙΧΝΗ | - | 1018 / 1987 | 49788 | ΠΡΩΤΟΤΥΠΟ | Π-3.1.2 | Προβολή | ||
| 85240 | Π.Ε. ΘΕΣΣΑΛΟΝΙΚΗΣ | ΠΟΛΙΧΝΗ | - | 1018 / 1987 | 49788 | ΠΡΩΤΟΤΥΠΟ | Π-3.2 | Προβολή | ||
| 85239 | Π.Ε. ΘΕΣΣΑΛΟΝΙΚΗΣ | ΠΟΛΙΧΝΗ | - | 1018 / 1987 | 49788 | ΠΡΩΤΟΤΥΠΟ | Π-3.2 | Προβολή | ||
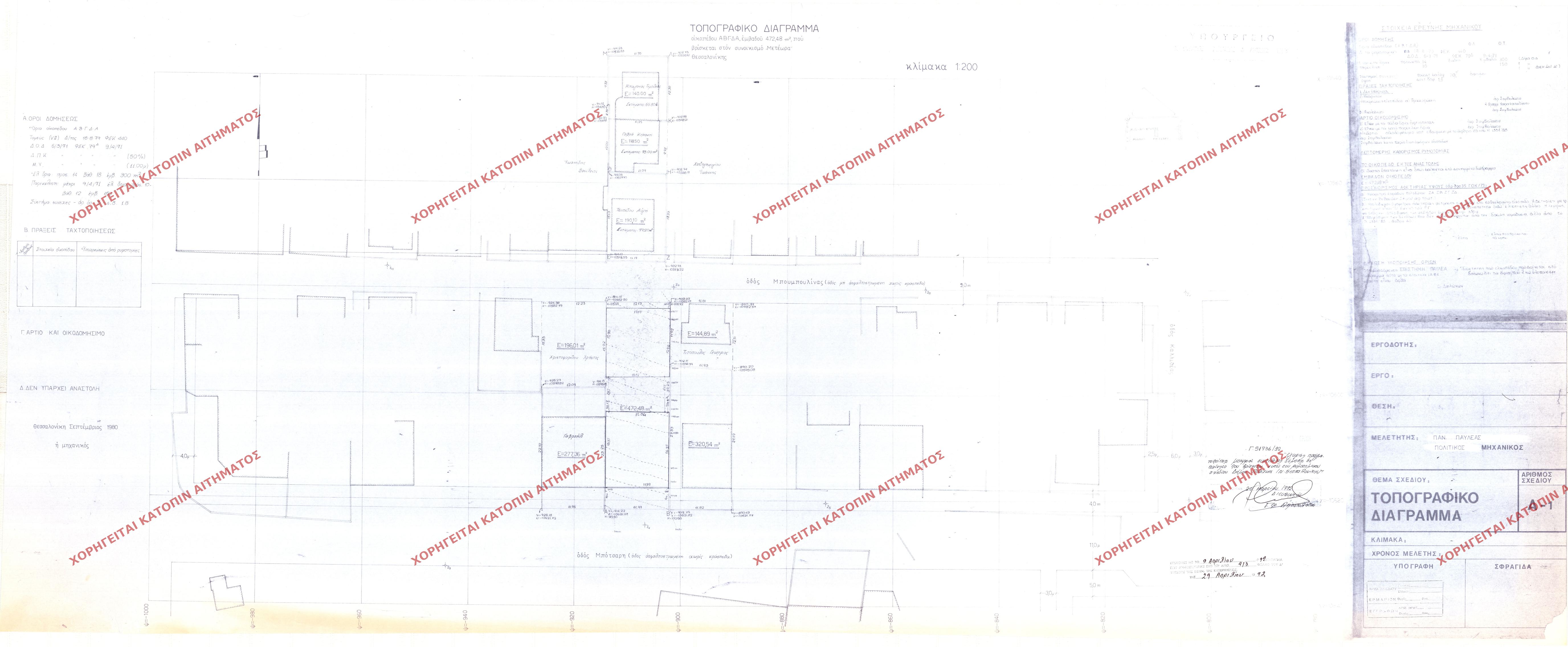
| 90074 | Π.Ε. ΘΕΣΣΑΛΟΝΙΚΗΣ | ΠΟΛΙΧΝΗ | - | 413 / 1992 | 51736 | ΠΡΩΤΟΤΥΠΟ | Α-1 | Προβολή | ||
| 90077 | Π.Ε. ΘΕΣΣΑΛΟΝΙΚΗΣ | ΠΟΛΙΧΝΗ | - | 413 / 1992 | 51736 | ΠΡΩΤΟΤΥΠΟ | 1 | Προβολή | ||
| 92917 | Π.Ε. ΘΕΣΣΑΛΟΝΙΚΗΣ | ΠΟΛΙΧΝΗ | - | 730 / 1995 | 34309 | ΠΡΩΤΟΤΥΠΟ | Α-1 | Προβολή |