| Κωδ. Διαγρ. | Περιφερειακή Ενότητα | Δήμος κατά ΦΕΚ / Κοινότητα | Θέση | Αριθμός και Έτος ΦΕΚ | Αριθμός Πράξης | Τύπος Διαγράμματος | Πινακίδα | Ενέργειες | ||
|---|---|---|---|---|---|---|---|---|---|---|
| 10048 | Π.Ε. ΑΤΤΙΚΗΣ | ΠΕΤΡΟΥΠΟΛΗ | - | 440 / 1981 | 32649 | ΔΗΜΟΣΙΕΥΜΕΝΟ ΣΕ ΦΕΚ | 01 | Προβολή | ||
| 13733 | Π.Ε. ΑΤΤΙΚΗΣ | ΠΕΤΡΟΥΠΟΛΗ | - | 81 / 1955 | 9003 | ΔΗΜΟΣΙΕΥΜΕΝΟ ΣΕ ΦΕΚ | 01 | Προβολή | ||
| 8639 | Π.Ε. ΑΤΤΙΚΗΣ | ΠΕΤΡΟΥΠΟΛΗ | - | 151 / 1980 | 2387 | ΔΗΜΟΣΙΕΥΜΕΝΟ ΣΕ ΦΕΚ | 01 | Προβολή | ||
| 11559 | Π.Ε. ΑΤΤΙΚΗΣ | ΠΕΤΡΟΥΠΟΛΗ | - | 51 / 1977 | 44888 | ΔΗΜΟΣΙΕΥΜΕΝΟ ΣΕ ΦΕΚ | 01 | Προβολή | ||
| 12349 | Π.Ε. ΑΤΤΙΚΗΣ | ΠΕΤΡΟΥΠΟΛΗ | - | 117 / 1956 | 55955 | ΔΗΜΟΣΙΕΥΜΕΝΟ ΣΕ ΦΕΚ | 01 | Προβολή | ||
| 10158 | Π.Ε. ΑΤΤΙΚΗΣ | ΠΕΤΡΟΥΠΟΛΗ | - | 174 / 1962 | 33461 | ΔΗΜΟΣΙΕΥΜΕΝΟ ΣΕ ΦΕΚ | 01 | Προβολή | ||
| 9986 | Π.Ε. ΑΤΤΙΚΗΣ | ΠΕΤΡΟΥΠΟΛΗ | - | 381 / 2009 | 32230 | ΠΡΩΤΟΤΥΠΟ | 01 | Προβολή | ||
| 5298 | Π.Ε. ΑΤΤΙΚΗΣ | ΠΕΤΡΟΥΠΟΛΗ | - | 379 / 2000 | 14231 | ΠΡΩΤΟΤΥΠΟ | 01 | Προβολή | ||
| 10171 | Π.Ε. ΑΤΤΙΚΗΣ | ΠΕΤΡΟΥΠΟΛΗ | - | 18 / 1980 | 33671 | ΔΗΜΟΣΙΕΥΜΕΝΟ ΣΕ ΦΕΚ | 01 | Προβολή | ||
| 9316 | Π.Ε. ΑΤΤΙΚΗΣ | ΠΕΤΡΟΥΠΟΛΗ | - | 351 / 1981 | 28166 | ΔΗΜΟΣΙΕΥΜΕΝΟ ΣΕ ΦΕΚ | 01 | Προβολή | ||
| 9118 | Π.Ε. ΑΤΤΙΚΗΣ | ΠΕΤΡΟΥΠΟΛΗ | - | 345 / 1981 | 26569 | ΔΗΜΟΣΙΕΥΜΕΝΟ ΣΕ ΦΕΚ | 01 | Προβολή | ||
| 11440 | Π.Ε. ΑΤΤΙΚΗΣ | ΠΕΤΡΟΥΠΟΛΗ | - | 59 / 1977 | 437 | ΔΗΜΟΣΙΕΥΜΕΝΟ ΣΕ ΦΕΚ | 01 | Προβολή | ||
| 9597 | Π.Ε. ΑΤΤΙΚΗΣ | ΠΕΤΡΟΥΠΟΛΗ | - | 144 / 1967 | 29903 | ΔΗΜΟΣΙΕΥΜΕΝΟ ΣΕ ΦΕΚ | 01 | Προβολή | ||
| 8234 | Π.Ε. ΑΤΤΙΚΗΣ | ΠΕΤΡΟΥΠΟΛΗ | - | 254 / 1957 | 21422 | ΔΗΜΟΣΙΕΥΜΕΝΟ ΣΕ ΦΕΚ | 01 | Προβολή | ||
| 7327 | Π.Ε. ΑΤΤΙΚΗΣ | ΠΕΤΡΟΥΠΟΛΗ | - | 137 / 1957 | 15577 | ΔΗΜΟΣΙΕΥΜΕΝΟ ΣΕ ΦΕΚ | 01 | Προβολή | ||
| 9343 | Π.Ε. ΑΤΤΙΚΗΣ | ΠΕΤΡΟΥΠΟΛΗ | - | 149 / 1956 | 2840 | ΔΗΜΟΣΙΕΥΜΕΝΟ ΣΕ ΦΕΚ | 01 | Προβολή | ||
| 7352 | Π.Ε. ΑΤΤΙΚΗΣ | ΠΕΤΡΟΥΠΟΛΗ | - | 153 / 1957 | 15827 | ΔΗΜΟΣΙΕΥΜΕΝΟ ΣΕ ΦΕΚ | 01 | Προβολή | ||
| 13837 | Π.Ε. ΑΤΤΙΚΗΣ | ΠΕΤΡΟΥΠΟΛΗ | - | 107 / 1967 | 9270 | ΔΗΜΟΣΙΕΥΜΕΝΟ ΣΕ ΦΕΚ | 01 | Προβολή | ||
| 5214 | Π.Ε. ΑΤΤΙΚΗΣ | ΠΕΤΡΟΥΠΟΛΗ | - | 161 / 1969 | 13581 | ΔΗΜΟΣΙΕΥΜΕΝΟ ΣΕ ΦΕΚ | 01 | Προβολή | ||
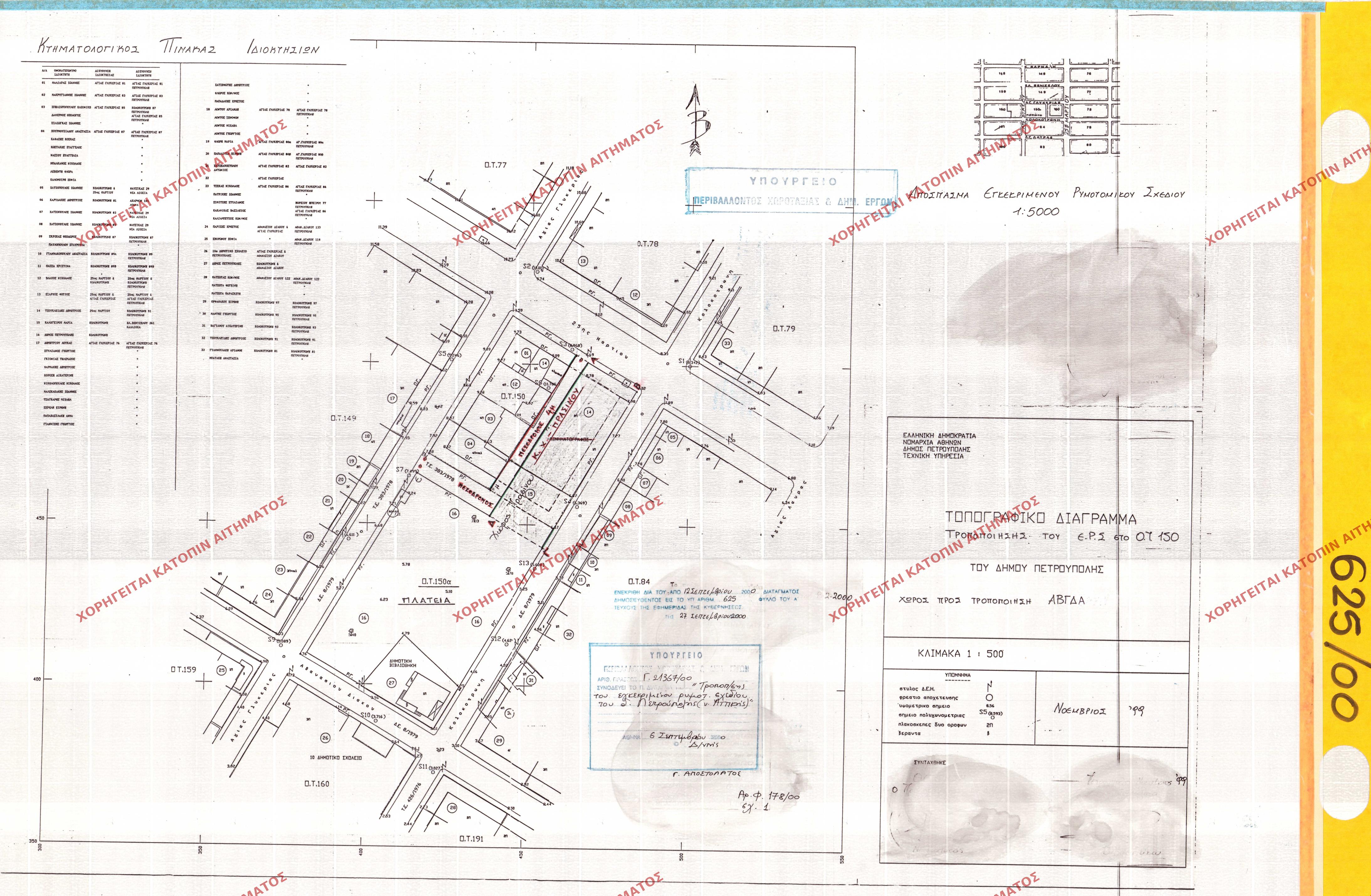
| 8223 | Π.Ε. ΑΤΤΙΚΗΣ | ΠΕΤΡΟΥΠΟΛΗ | - | 625 / 2000 | 21367 | ΔΗΜΟΣΙΕΥΜΕΝΟ ΣΕ ΦΕΚ | 01 | Προβολή |