| Κωδ. Διαγρ. | Περιφερειακή Ενότητα | Δήμος κατά ΦΕΚ / Κοινότητα | Θέση | Αριθμός και Έτος ΦΕΚ | Αριθμός Πράξης | Τύπος Διαγράμματος | Πινακίδα | Ενέργειες | ||
|---|---|---|---|---|---|---|---|---|---|---|
| 43129 | Π.Ε. ΑΤΤΙΚΗΣ | ΑΘΗΝΑ | - | 548 / 2008 | 47474 | ΠΡΩΤΟΤΥΠΟ | 01 | Προβολή | ||
| 43128 | Π.Ε. ΑΤΤΙΚΗΣ | ΑΘΗΝΑ | - | 317 / 2009 | 24554 | ΠΡΩΤΟΤΥΠΟ | ΤΟΜΕΣ | Προβολή | ||
| 43127 | Π.Ε. ΑΤΤΙΚΗΣ | ΑΘΗΝΑ | - | 298 / 2009 | 23713 | ΠΡΩΤΟΤΥΠΟ | ΔΙΑΓΡΑΜΜΑ ΚΑΛΥΨΗΣ | Προβολή | ||
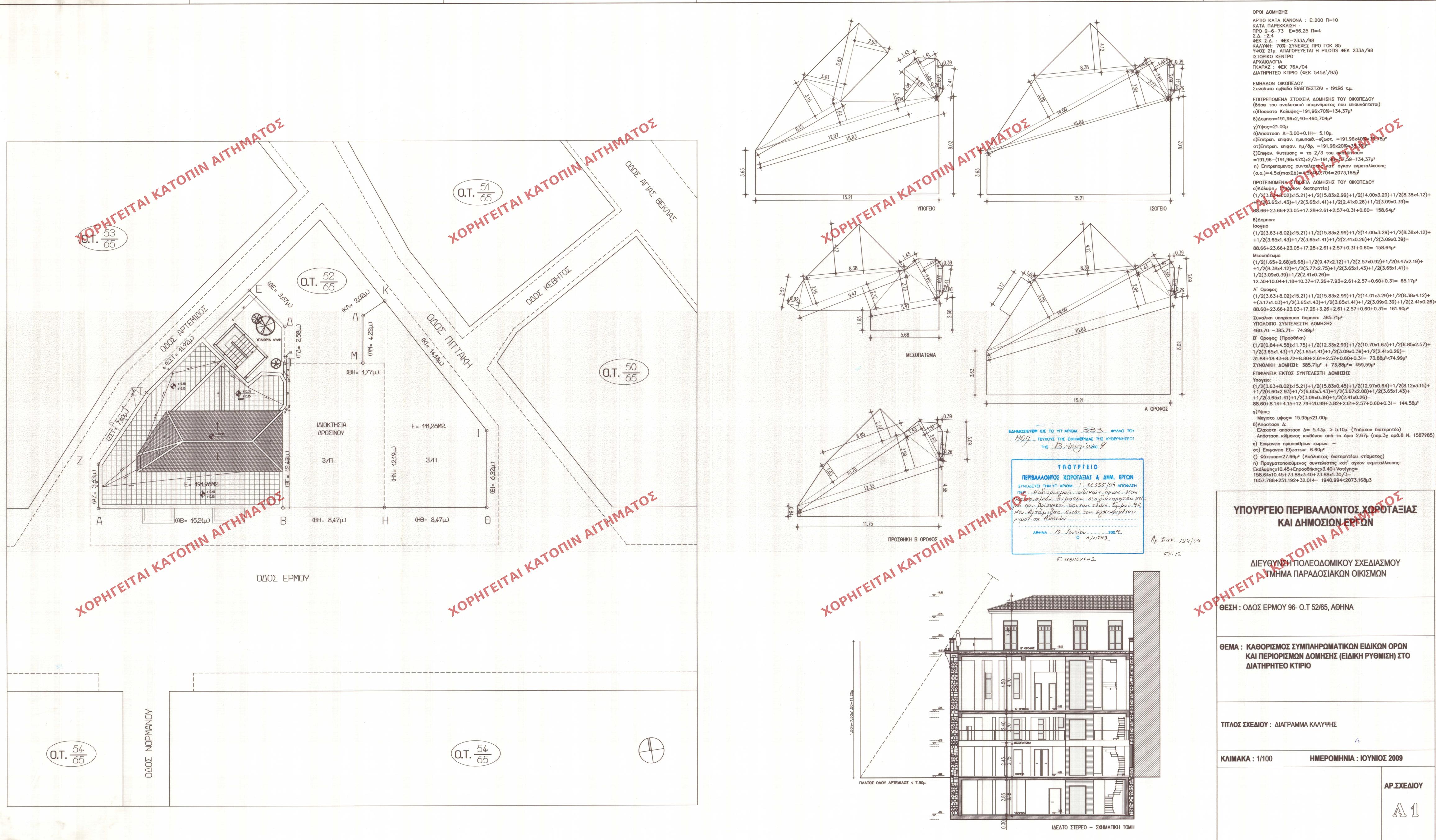
| 43126 | Π.Ε. ΑΤΤΙΚΗΣ | ΑΘΗΝΑ | - | 327 / 2009 | 26530 | ΠΡΩΤΟΤΥΠΟ | ΤΟΠΟΓΡΑΦΙΚΟ ΔΙΑΓΡΑΜΜΑ - Δ.ΚΑΛΥΨΗΣ | Προβολή | ||
| 43125 | Π.Ε. ΑΤΤΙΚΗΣ | ΑΘΗΝΑ | - | 104 / 2010 | 5853 | ΠΡΩΤΟΤΥΠΟ | ΔΥΤΙΚΗ ΟΨΗ | Προβολή | ||
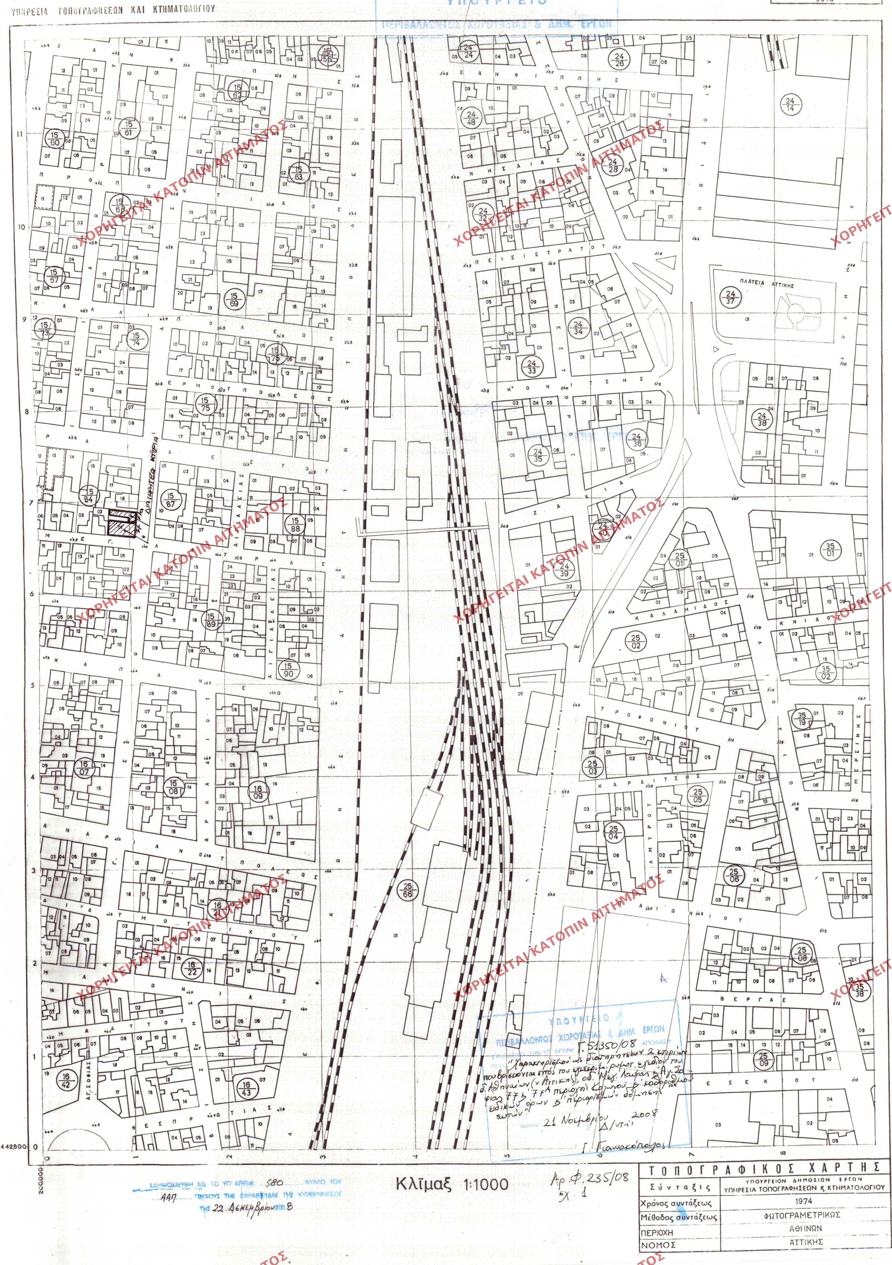
| 43134 | Π.Ε. ΑΤΤΙΚΗΣ | ΑΘΗΝΑ | - | 580 / 2008 | 51350 | ΠΡΩΤΟΤΥΠΟ | 01 | Προβολή | ||
| 43123 | Π.Ε. ΑΤΤΙΚΗΣ | ΑΘΗΝΑ | - | 327 / 2009 | 26530 | ΠΡΩΤΟΤΥΠΟ | ΚΑΤΟΨΕΙΣ Β ΟΡΟΦΟΥ - Γ ΟΡΟΦΟΥ-Δ ΟΡΟΦΟΥ | Προβολή | ||
| 43122 | Π.Ε. ΑΤΤΙΚΗΣ | ΑΘΗΝΑ | - | 384 / 2009 | 29280 | ΠΡΩΤΟΤΥΠΟ | 16.01 | Προβολή | ||
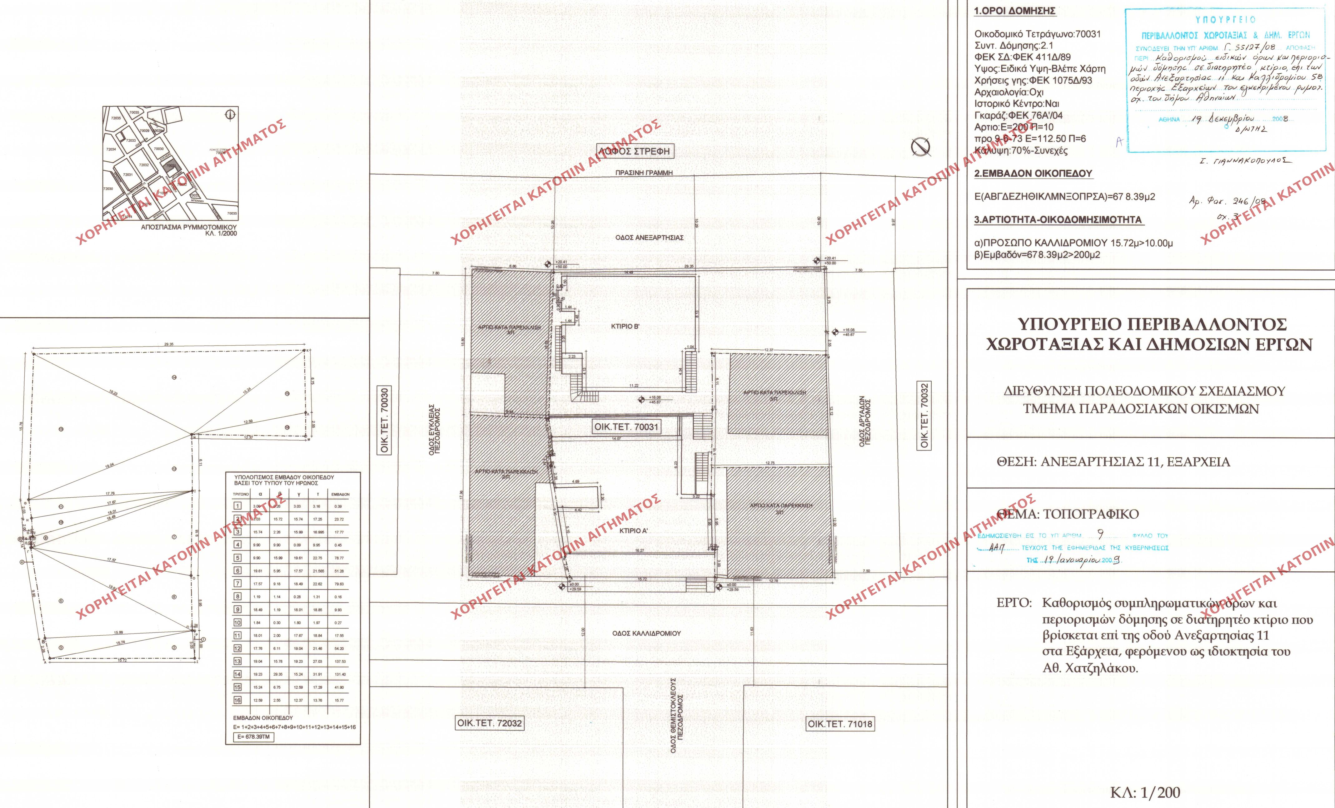
| 43121 | Π.Ε. ΑΤΤΙΚΗΣ | ΑΘΗΝΑ | - | 333 / 2009 | 26525 | ΠΡΩΤΟΤΥΠΟ | ΤΟΜΗ Γ-Γ | Προβολή | ||
| 43120 | Π.Ε. ΑΤΤΙΚΗΣ | ΑΘΗΝΑ | - | 333 / 2009 | 26525 | ΠΡΩΤΟΤΥΠΟ | ΚΑΤΟΨΗ ΣΤΕΓΗΣ | Προβολή | ||
| 43119 | Π.Ε. ΑΤΤΙΚΗΣ | ΑΘΗΝΑ | - | 333 / 2009 | 26525 | ΠΡΩΤΟΤΥΠΟ | ΤΟΜΗ Α-Α | Προβολή | ||
| 43118 | Π.Ε. ΑΤΤΙΚΗΣ | ΑΘΗΝΑ | - | 333 / 2009 | 26525 | ΠΡΩΤΟΤΥΠΟ | ΚΑΤΟΨΗ ΥΠΟΓΕΙΟΥ | Προβολή | ||
| 43117 | Π.Ε. ΑΤΤΙΚΗΣ | ΑΘΗΝΑ | - | 333 / 2009 | 26525 | ΠΡΩΤΟΤΥΠΟ | ΚΑΤΟΨΗ ΙΣΟΓΕΙΟΥ | Προβολή | ||
| 43116 | Π.Ε. ΑΤΤΙΚΗΣ | ΑΘΗΝΑ | - | 333 / 2009 | 26525 | ΠΡΩΤΟΤΥΠΟ | ΔΙΑΓΡΑΜΜΑ ΚΑΛΥΨΗΣ | Προβολή | ||
| 43115 | Π.Ε. ΑΤΤΙΚΗΣ | ΑΘΗΝΑ | - | 333 / 2009 | 26525 | ΠΡΩΤΟΤΥΠΟ | ΟΨΗ ΑΠΟ ΟΔΟ ΑΡΤΕΜΙΔΟΣ | Προβολή | ||
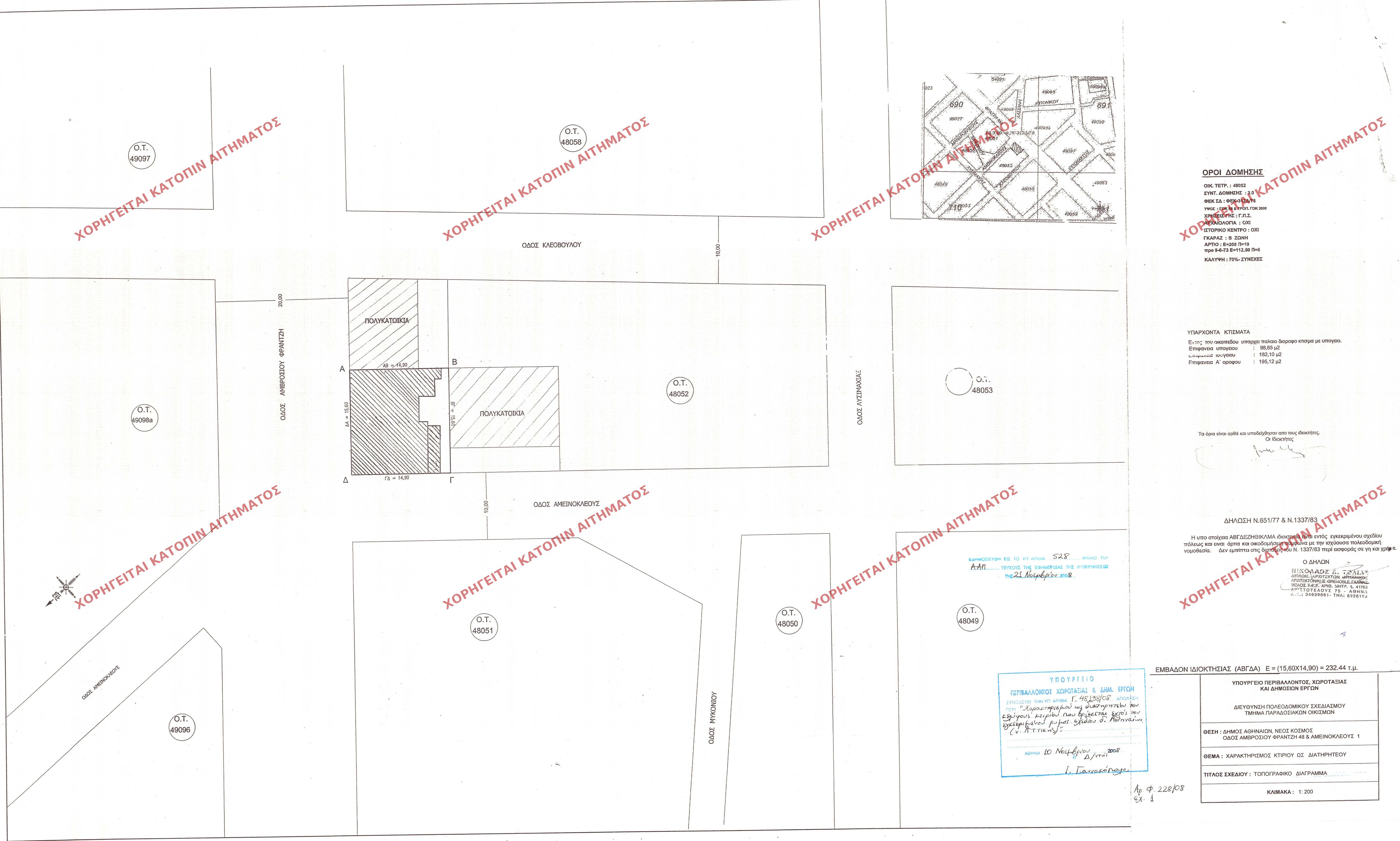
| 43143 | Π.Ε. ΑΤΤΙΚΗΣ | ΑΘΗΝΑ | - | 528 / 2008 | 48198 | ΠΡΩΤΟΤΥΠΟ | 01 | Προβολή | ||
| 43152 | Π.Ε. ΑΤΤΙΚΗΣ | ΑΘΗΝΑ | - | 317 / 2009 | 24554 | ΠΡΩΤΟΤΥΠΟ | ΟΨΕΙΣ | Προβολή | ||
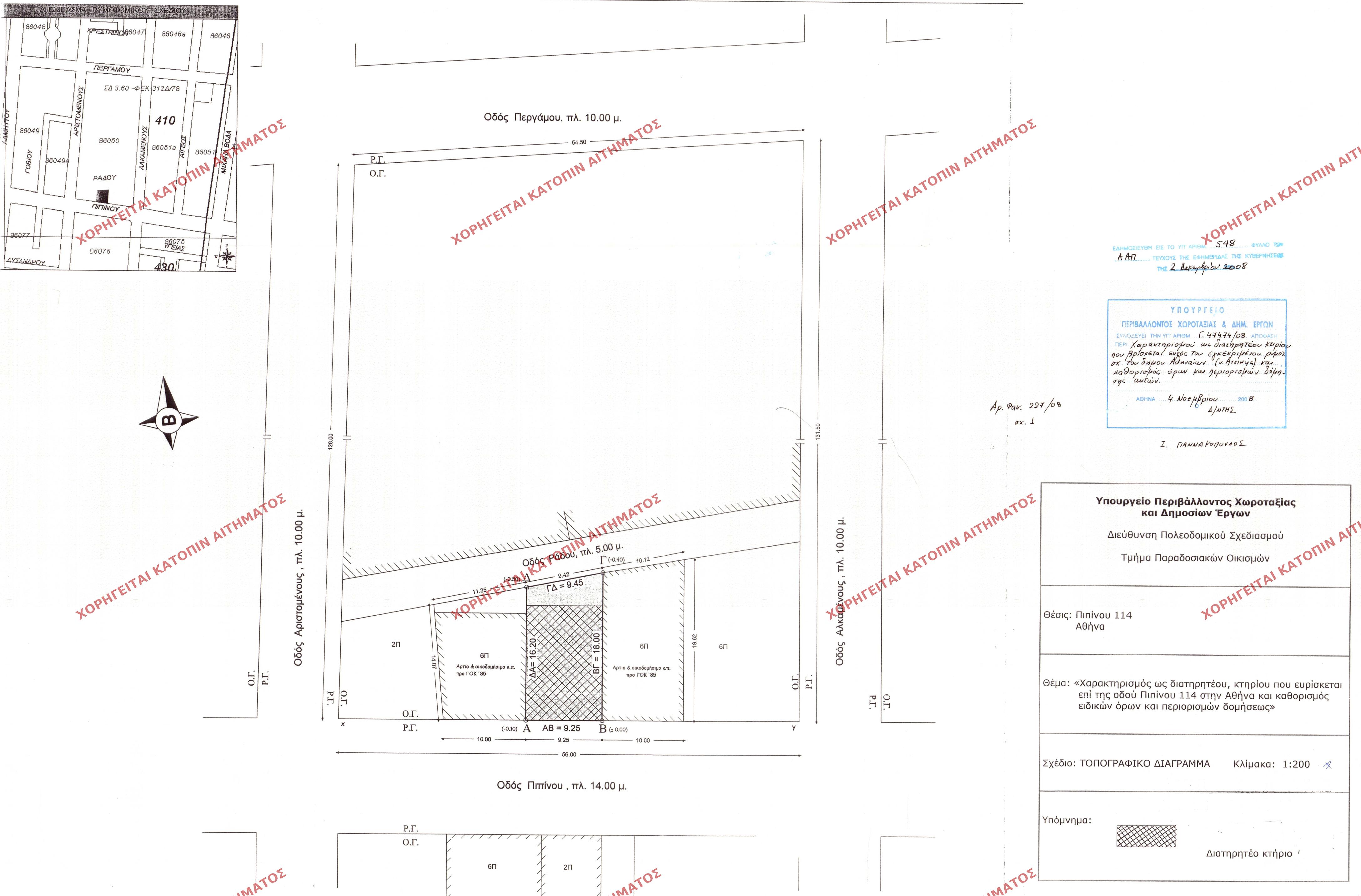
| 43151 | Π.Ε. ΑΤΤΙΚΗΣ | ΑΘΗΝΑ | - | 9 / 2009 | 55127 | ΠΡΩΤΟΤΥΠΟ | ΔΙΑΓΡΑΜΜΑ ΚΑΛΥΨΗΣ | Προβολή | ||
| 43150 | Π.Ε. ΑΤΤΙΚΗΣ | ΑΘΗΝΑ | - | 9 / 2009 | 55127 | ΠΡΩΤΟΤΥΠΟ | ΚΑΤΟΨΕΙΣ Α.Β.Γ ΕΠΙΠΕΔΟΥ ΤΟΜΕΣ Α-Α | Προβολή | ||
| 43149 | Π.Ε. ΑΤΤΙΚΗΣ | ΑΘΗΝΑ | - | 9 / 2009 | 55127 | ΠΡΩΤΟΤΥΠΟ | 01 | Προβολή |