| Κωδ. Διαγρ. | Περιφερειακή Ενότητα | Δήμος κατά ΦΕΚ / Κοινότητα | Θέση | Αριθμός και Έτος ΦΕΚ | Αριθμός Πράξης | Τύπος Διαγράμματος | Πινακίδα | Ενέργειες | ||
|---|---|---|---|---|---|---|---|---|---|---|
| 43989 | Π.Ε. ΑΤΤΙΚΗΣ | ΑΘΗΝΑ | - | 663 / 2005 | 24105 | ΠΡΩΤΟΤΥΠΟ | ΚΑΤΟΨΗ ΙΣΟΓΕΙΟΥ | Προβολή | ||
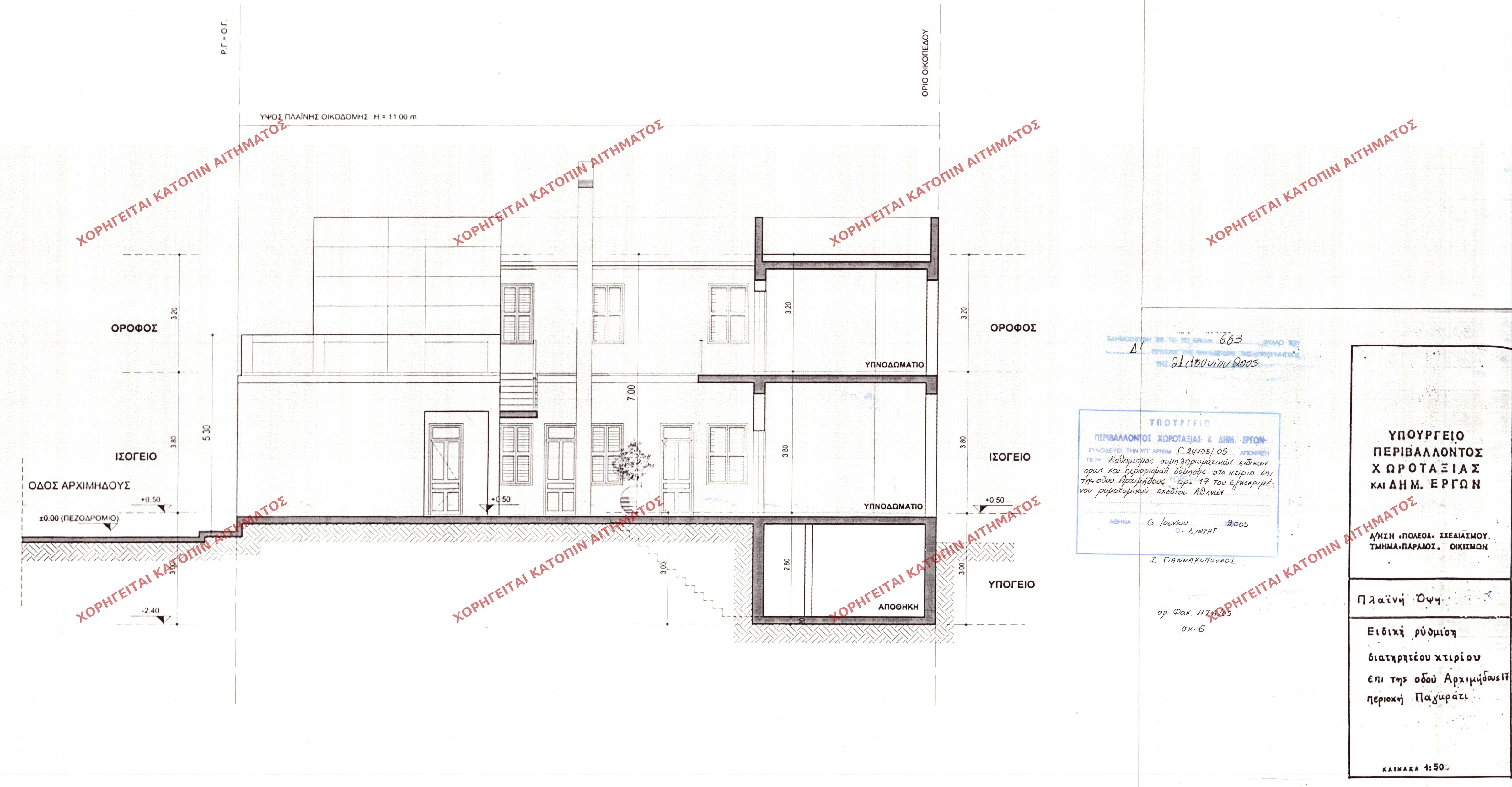
| 43990 | Π.Ε. ΑΤΤΙΚΗΣ | ΑΘΗΝΑ | - | 663 / 2005 | 24105 | ΠΡΩΤΟΤΥΠΟ | ΠΛΑΙΝΗ ΟΨΗ | Προβολή | ||
| 43991 | Π.Ε. ΑΤΤΙΚΗΣ | ΑΘΗΝΑ | - | 663 / 2005 | 24105 | ΠΡΩΤΟΤΥΠΟ | ΤΟΜΗ | Προβολή | ||
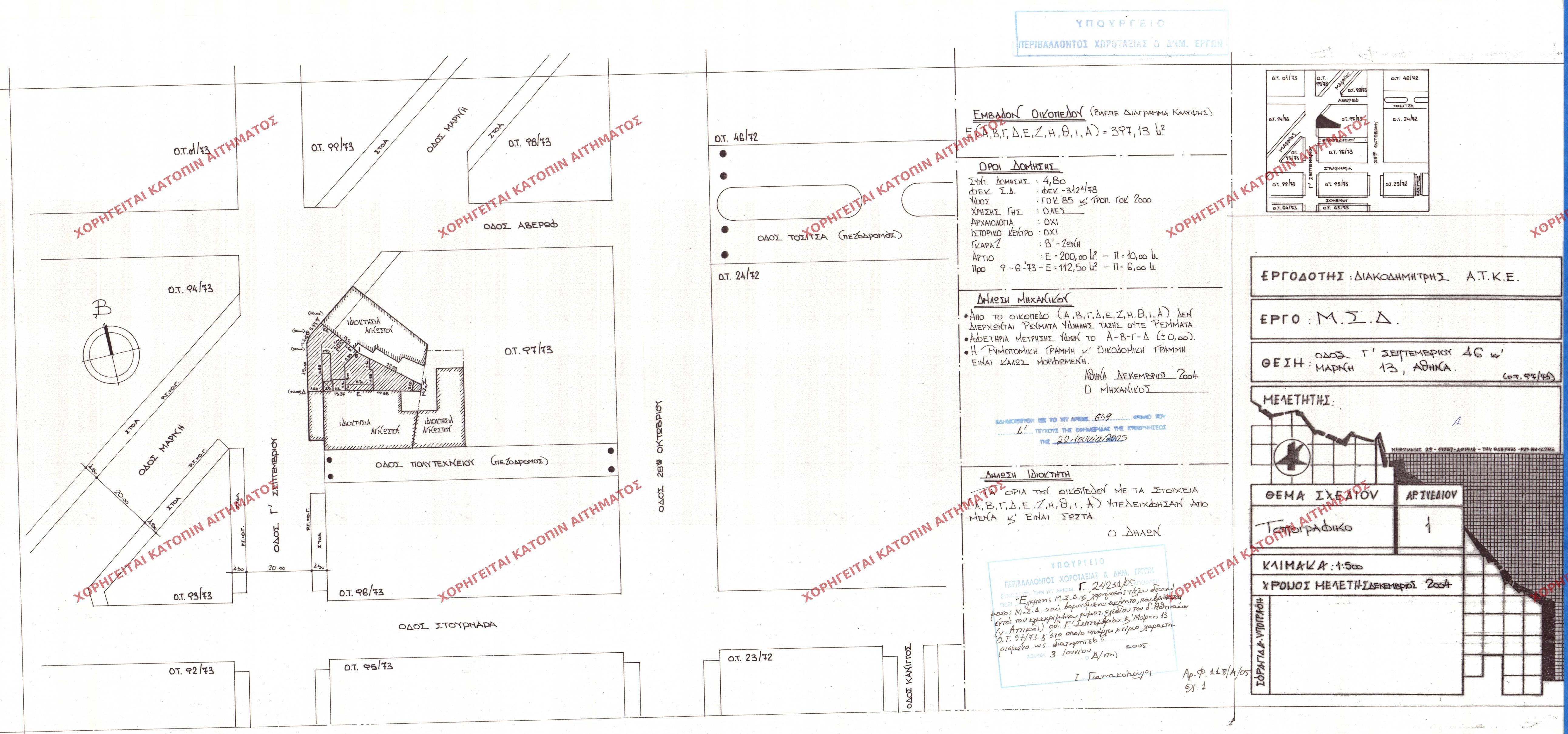
| 43992 | Π.Ε. ΑΤΤΙΚΗΣ | ΑΘΗΝΑ | - | 669 / 2005 | 24231 | ΠΡΩΤΟΤΥΠΟ | 01 | Προβολή | ||
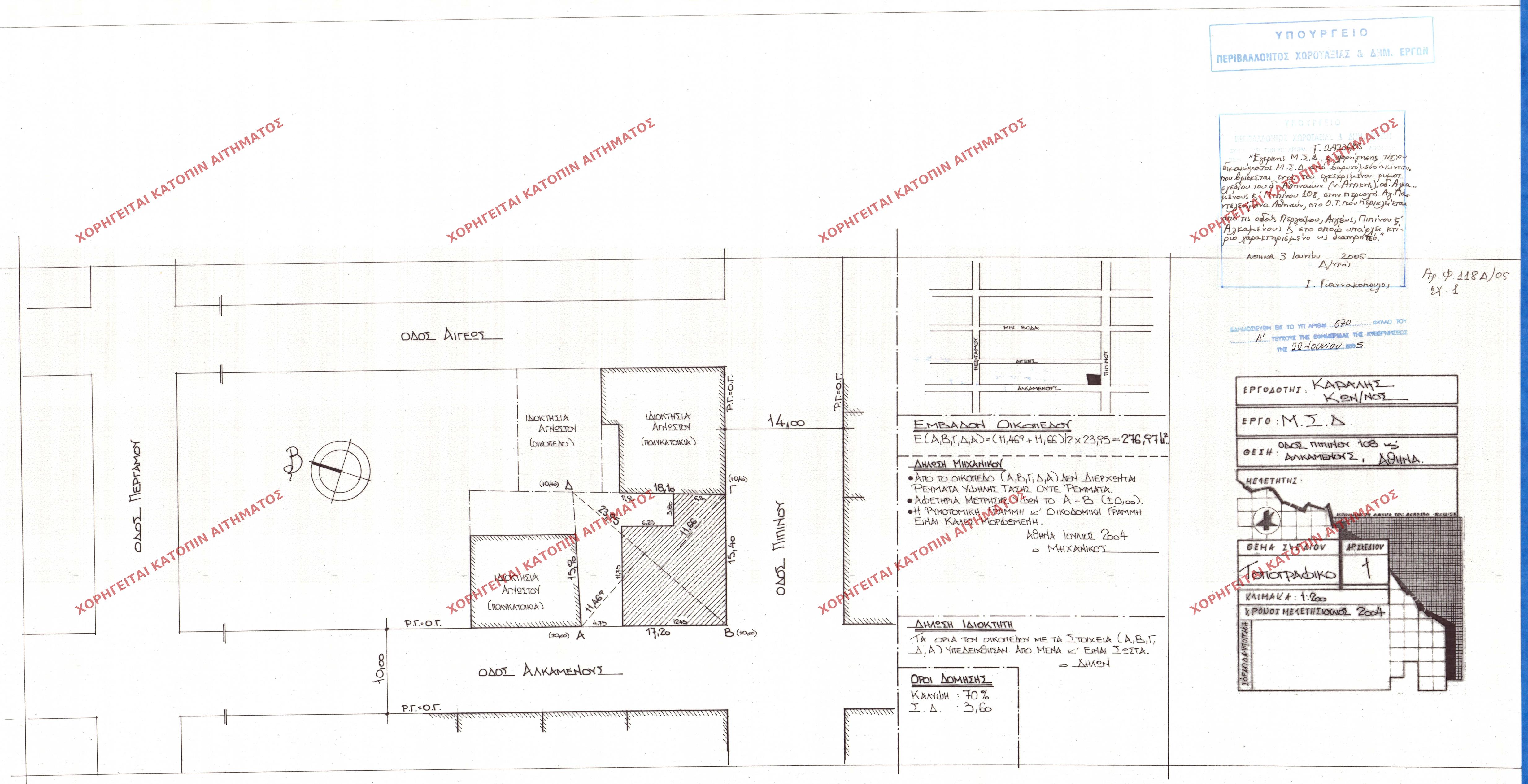
| 43993 | Π.Ε. ΑΤΤΙΚΗΣ | ΑΘΗΝΑ | - | 670 / 2005 | 24236 | ΠΡΩΤΟΤΥΠΟ | 01 | Προβολή | ||
| 43994 | Π.Ε. ΑΤΤΙΚΗΣ | ΑΘΗΝΑ | - | 670 / 2005 | 24219 | ΔΗΜΟΣΙΕΥΜΕΝΟ ΣΕ ΦΕΚ | 01 | Προβολή | ||
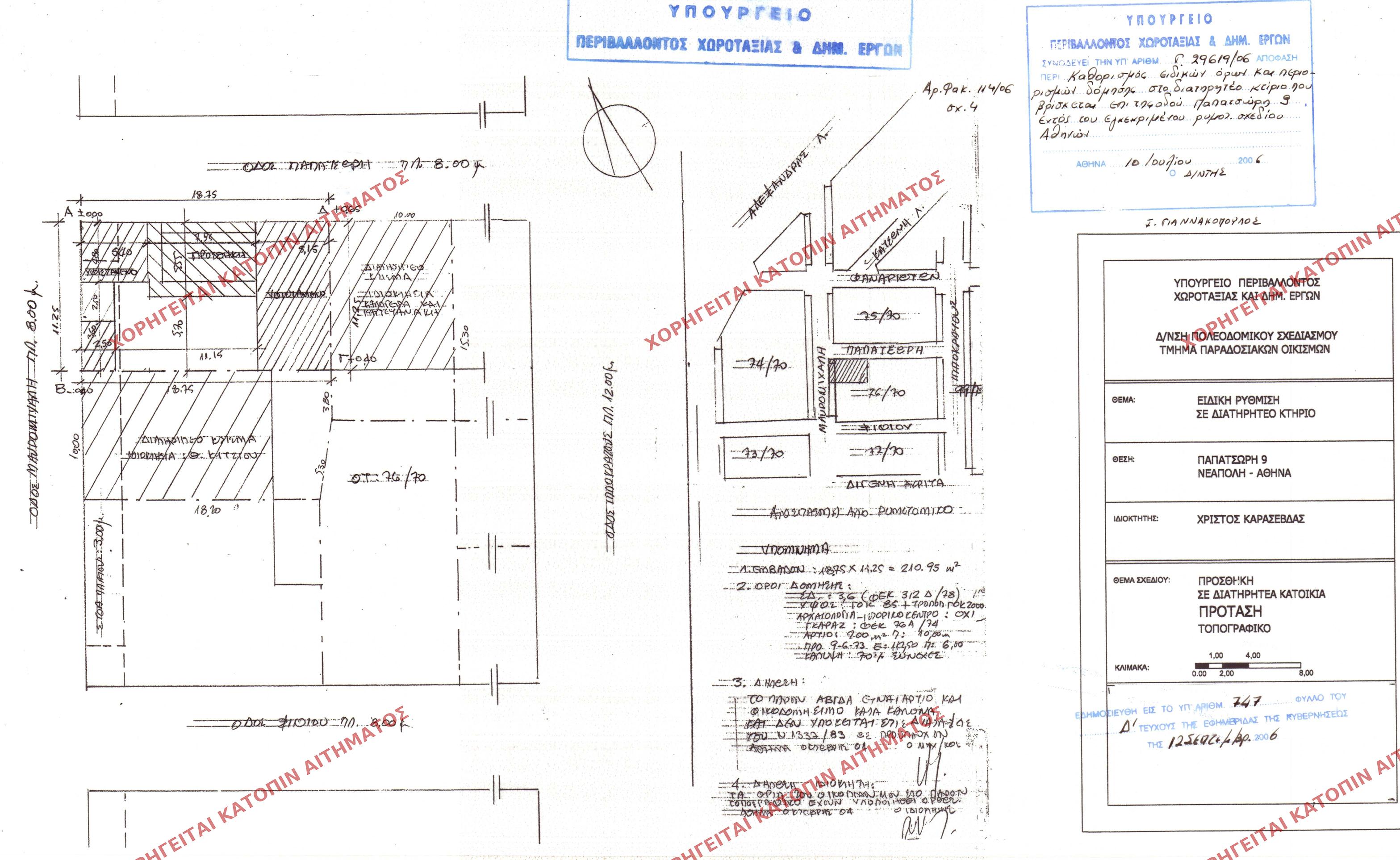
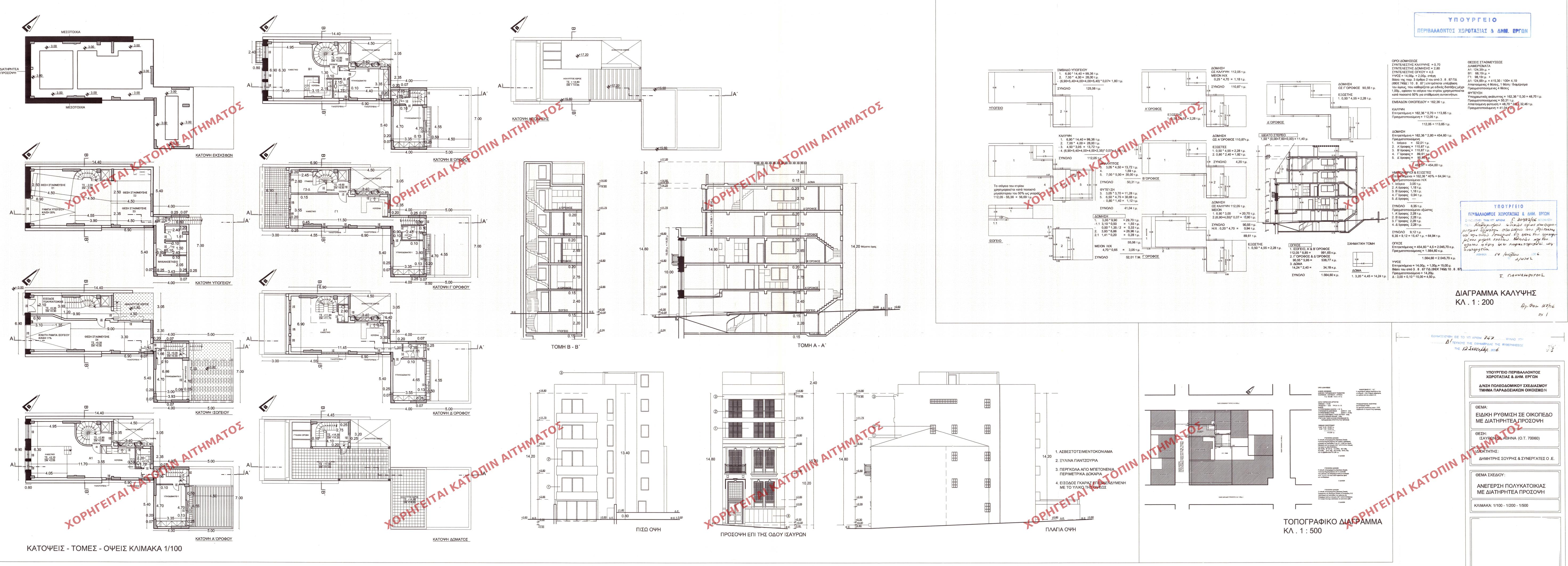
| 43846 | Π.Ε. ΑΤΤΙΚΗΣ | ΑΘΗΝΑ | - | 747 / 2006 | 29619 | ΠΡΩΤΟΤΥΠΟ | ΚΑΤΟΨΕΙΣ | Προβολή | ||
| 43833 | Π.Ε. ΑΤΤΙΚΗΣ | ΑΘΗΝΑ | - | 73 / 2007 | 6146 | ΠΡΩΤΟΤΥΠΟ | ΚΑΤΟΨΗ ΙΣΟΓΕΙΟΥ ΤΟΜΗ ΑΑ | Προβολή | ||
| 43834 | Π.Ε. ΑΤΤΙΚΗΣ | ΑΘΗΝΑ | - | 73 / 2007 | 6146 | ΠΡΩΤΟΤΥΠΟ | ΚΑΤΟΨΗ Β ΟΡΟΦΟΥ | Προβολή | ||
| 43835 | Π.Ε. ΑΤΤΙΚΗΣ | ΑΘΗΝΑ | - | 73 / 2007 | 6146 | ΠΡΩΤΟΤΥΠΟ | ΤΟΜΗ ΒΒ - ΔΙΑΓΡΑΜΜΑ ΚΑΛΥΨΗΣ | Προβολή | ||
| 43836 | Π.Ε. ΑΤΤΙΚΗΣ | ΑΘΗΝΑ | - | 73 / 2007 | 6146 | ΠΡΩΤΟΤΥΠΟ | ΚΑΤΟΨΗ Α ΟΡΟΦΟΥ ΟΨΗ ΟΔΟΥ ΕΥΦΟΡΙΩΝΟΣ | Προβολή | ||
| 43837 | Π.Ε. ΑΤΤΙΚΗΣ | ΑΘΗΝΑ | - | 73 / 2007 | 6146 | ΠΡΩΤΟΤΥΠΟ | ΚΑΤΑΛΗΞΗ ΑΠΟΛΗΞΕΩΣ ΚΛΙΜΑΚΟΣΤΑΣΙΟΥ | Προβολή | ||
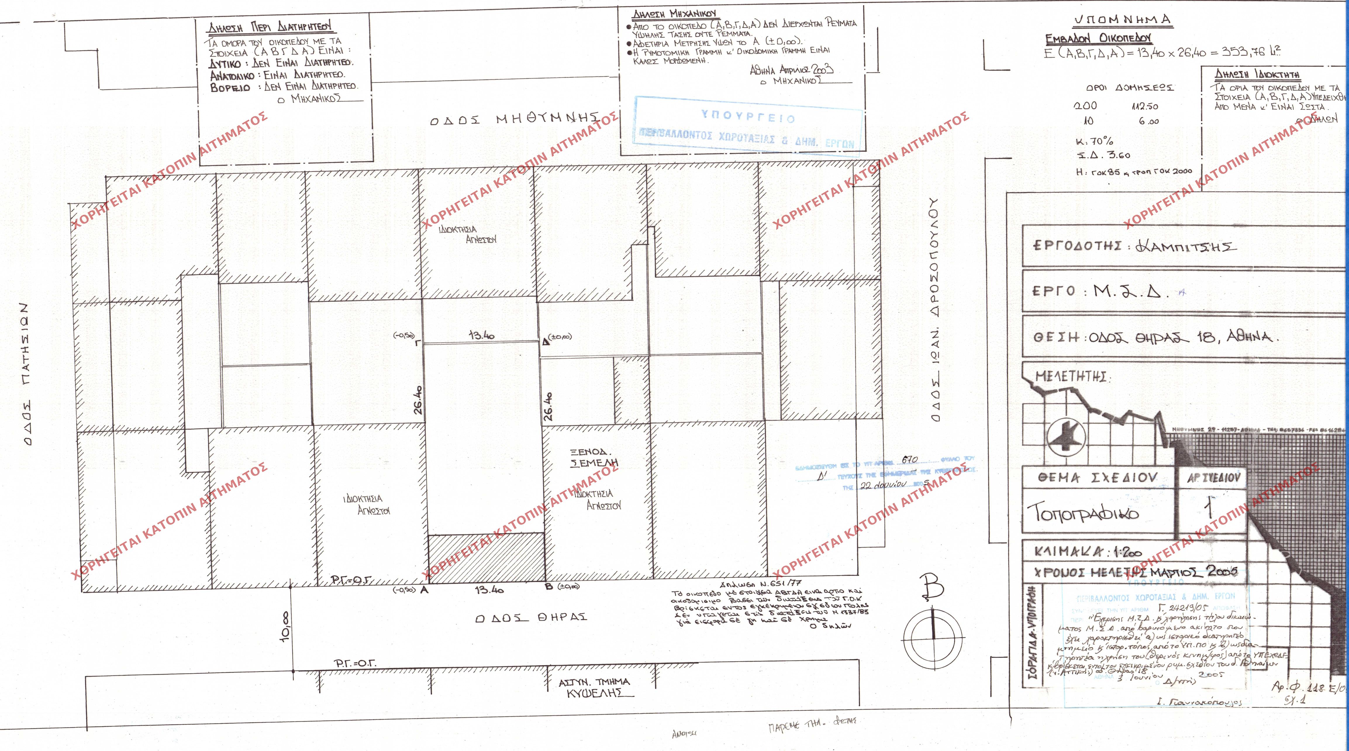
| 43838 | Π.Ε. ΑΤΤΙΚΗΣ | ΑΘΗΝΑ | - | 498 / 2005 | 17515 | ΠΡΩΤΟΤΥΠΟ | 01 | Προβολή | ||
| 43839 | Π.Ε. ΑΤΤΙΚΗΣ | ΑΘΗΝΑ | - | 73 / 2007 | 6146 | ΠΡΩΤΟΤΥΠΟ | ΟΨΗ ΕΠΙ ΤΗΣ ΟΔΟΥ ΑΡΚΤΙΝΟΥ | Προβολή | ||
| 43840 | Π.Ε. ΑΤΤΙΚΗΣ | ΑΘΗΝΑ | - | 73 / 2007 | 6146 | ΠΡΩΤΟΤΥΠΟ | ΚΑΤΟΨΗ Α ΟΡΟΦΟΥ | Προβολή | ||
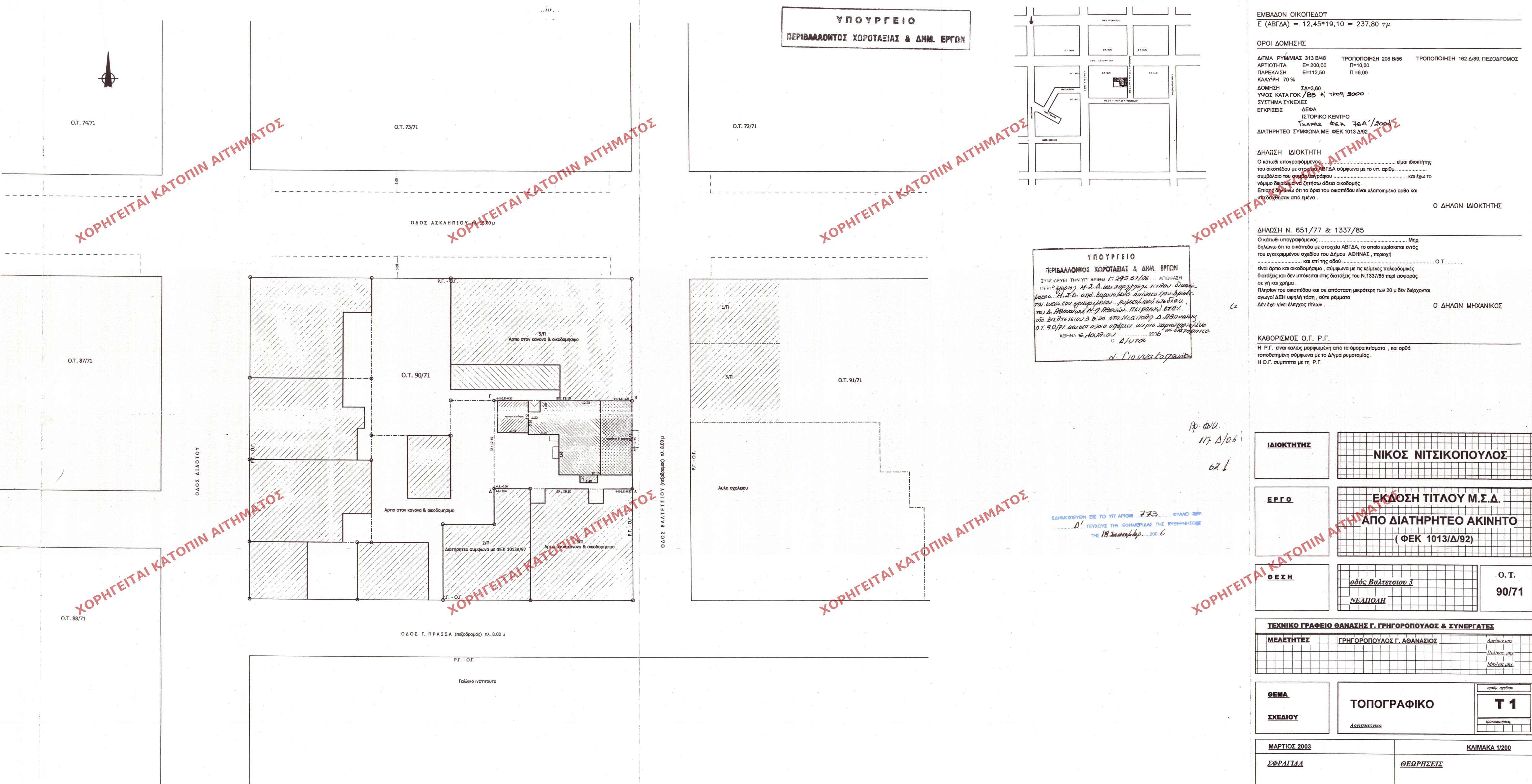
| 43841 | Π.Ε. ΑΤΤΙΚΗΣ | ΑΘΗΝΑ | - | 773 / 2006 | 29537 | ΠΡΩΤΟΤΥΠΟ | 01 | Προβολή | ||
| 43842 | Π.Ε. ΑΤΤΙΚΗΣ | ΑΘΗΝΑ | - | 760 / 2006 | 6292 | ΠΡΩΤΟΤΥΠΟ | 01 | Προβολή | ||
| 43843 | Π.Ε. ΑΤΤΙΚΗΣ | ΑΘΗΝΑ | - | 384 / 2006 | 15780 | ΠΡΩΤΟΤΥΠΟ | ΟΨΗ Α | Προβολή | ||
| 43844 | Π.Ε. ΑΤΤΙΚΗΣ | ΑΘΗΝΑ | - | 747 / 2006 | 30422 | ΠΡΩΤΟΤΥΠΟ | 01 | Προβολή | ||
| 43845 | Π.Ε. ΑΤΤΙΚΗΣ | ΑΘΗΝΑ | - | 747 / 2006 | 29619 | ΠΡΩΤΟΤΥΠΟ | ΤΟΠΟΓΡΑΦΙΚΟ | Προβολή |